Стандартне розміщення
Додати в обране
- Цена продажи
-
929 040 грн.
- Розташування
- Вельбівка, Леніна, 2А
- Відправник
-
Євгенія усі оголошення відправника
- Телефони
-
- (050) XXX‑XX‑XX
- Тип пропозиції
- только продажа
- Тип об’єкта
- комплекс будівель та споруд
- Призначення об’єкта
- виробництво
- Площа
- 9140 кв.м
Деталі пропозиції
Пропонуються до продажу нежитлові будівлі свинарської товарної ферми, які знаходяться за адресою: Полтавська обл., Миргородський (Гадяцький) р-н, с. Малі Будища, вул. Леніна, буд. 2А. Загальна площа будівель складає 9 140 кв. м.
Опис будівель:
- будинок тваринника (літ. А2),
- прохідна (літ. Б1),
- гараж (літ. В1),
- свинарник маточник (літ. Г1),
- свинарник маточник (літ. Д1),
- бойня (літ. Є1), ПШО (літ. Ж1),
- свинарник відгодівельник (літ. З1),
- свинарник відгодівельник (літ. І1),
- свинарник (літ. Й1),
- телятник (літ. К1),
- кормокухня (літ. Л1),
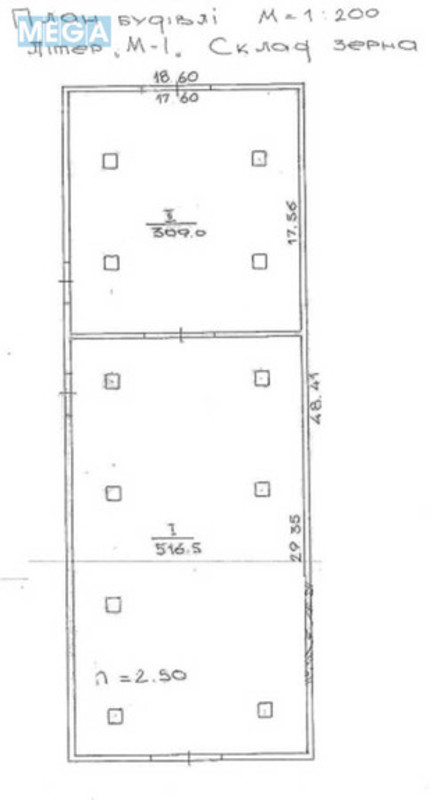
- склад зерна (літ М1),
- свинарник маточник (літ. Н1),
- замощення №1 заг. пл. 49554,00 кв.м.
Територія ферми має велику площу для випасання тварин, будівлі знаходяться у зношеному стані, потребують капітального ремонту для використання за призначенням.
Продаж відбуватиметься на умовах аукціону на ресурсі електронної системи ДП "СЕТАМ" - без можливості зниження початкової ціни. Ціна вказана стартова.
За додатковою інформацією звертайтесь за вказаним номером телефону.
Опис будівель:
- будинок тваринника (літ. А2),
- прохідна (літ. Б1),
- гараж (літ. В1),
- свинарник маточник (літ. Г1),
- свинарник маточник (літ. Д1),
- бойня (літ. Є1), ПШО (літ. Ж1),
- свинарник відгодівельник (літ. З1),
- свинарник відгодівельник (літ. І1),
- свинарник (літ. Й1),
- телятник (літ. К1),
- кормокухня (літ. Л1),
- склад зерна (літ М1),
- свинарник маточник (літ. Н1),
- замощення №1 заг. пл. 49554,00 кв.м.
Територія ферми має велику площу для випасання тварин, будівлі знаходяться у зношеному стані, потребують капітального ремонту для використання за призначенням.
Продаж відбуватиметься на умовах аукціону на ресурсі електронної системи ДП "СЕТАМ" - без можливості зниження початкової ціни. Ціна вказана стартова.
За додатковою інформацією звертайтесь за вказаним номером телефону.












- Додано/оновлено
- 23.10.2025
всі пропозиції в категорії помещения склада в Вельбовке.